Para nadie es mentira que en los últimos años la temporada de huracanes ha representado un riesgo muy alto para el mundo entero, sin embargo, según el equipo de investigación del National Centre of Atmospheric Science, de la Universidad de Reading, en Reino Unido, la situación podría agravarse.
Te puede interesar: Concluye la Temporada de Huracanes 2024 en el Atlántico: Estos sistemas AFECTARON a Yucatán
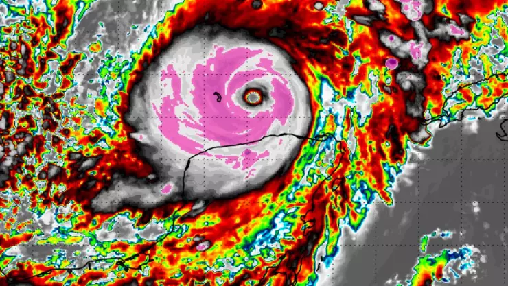
Dicho estudio encabezado por Paul-Arthut Monerie prevé que los huracanes sean más devastadores, aumentando su fuerza, duración e intensidad, concretamente, en el océano Pacífico y en el Atlántico.
¿Cuándo serán más devastadores los huracanes? esto dice un estudio

El equipo que llevó a cabo el estudio se apoyó de un software de pronóstico de la Oficina Meteorológica de Reino Unido, en el que prevén que la próxima década comenzarán los huracanes más fuertes e intensos.
Los expertos prevén que para la próxima década (2030 a 2040), los ciclones tropicales en el Atlántico se podrían duplicar a comparación de los niveles de 1970.
En caso de hallar un patrón positivo en la intensidad de estos fenómenos, Yucatán y las costas de México podrían ser afectados, pues cabe resaltar que la zona es propensa al impacto de ciclones.
¿Cuándo inicia la temporada de huracanes en México?

Debido a la ubicación geográfica de México, nuestro país se encuentra expuesto a la formación de huracanes tanto en el Océano Pacífico como en el Atlántico.
La temporada de huracanes en México varía según el océano:
- Océano Pacífico: Inicia el 15 de mayo de cada año.
- Océano Atlántico: Comienza el 1 de junio de cada año.
Hay que mencionar que ambas temporadas concluyen el 30 de noviembre.
¿Qué hacer ante un Huracán?

De acuerdo a información brindada por autoridades de Protección Civil, antes de un Huracán debes:
- Revisar el estado de puertas, ventanas y techos.
- Tener a la mano radio, lámpara, baterías de reserva y botiquín de primeros auxilios.
- Almacenar una provisión de alimentos básicos no perecederos y agua para al menos 4 días.
De igual manera las autoridades ponen a disposición el número de emergencias 911 para comunicarse en caso de algún percance.
¿Quieres mantenerte informado o enviarnos tu reporte ciudadano? Síguenos en Facebook , X , Instagram y TikTok
También puedes disfrutar de la programación en vivo de Azteca UNO y Azteca 7
