Este sábado 30 de noviembre concluye de manera oficial la Temporada de huracanes en el Atlántico Norte, cuenca que dejó al menos 7 ciclones tropicales para Yucatán.
Te puede interesar: Huracán Milton es uno de los más INTENSOS en la historia del Atlántico
Al inicio de la temporada, la mayoría de los pronósticos en todo el mundo indicaban una temporada hiper-activa y atípica y desde luego que se obtuvo una actividad superior al promedio que es de 14 sistemas tropicales.
¿Cuántos ciclones tropicales se formaron en la temporada 2024?

En la cuenca del Atlántico este 2024, se formaron: 18 sistemas tropicales con nombre; de los cuales, 11 fueron huracanes (5 huracanes mayores) y 7 tormentas tropicales.
Hay que tomar en cuenta que, siete de estos sistemas tropicales dejaron diversos efectos en el estado de Yucatán.
¿Qué ciclones afectaron a Yucatán en 2024?
A pesar de que varios ciclones tropicales afectaron tanto directa como indirectamente a la Península de Yucatán, resaltan por su intensidad y afectaciones Beryl, Helene y Milton.
Únete gratis a nuestro canal de difusión en WhatsApp con las mejores novedades
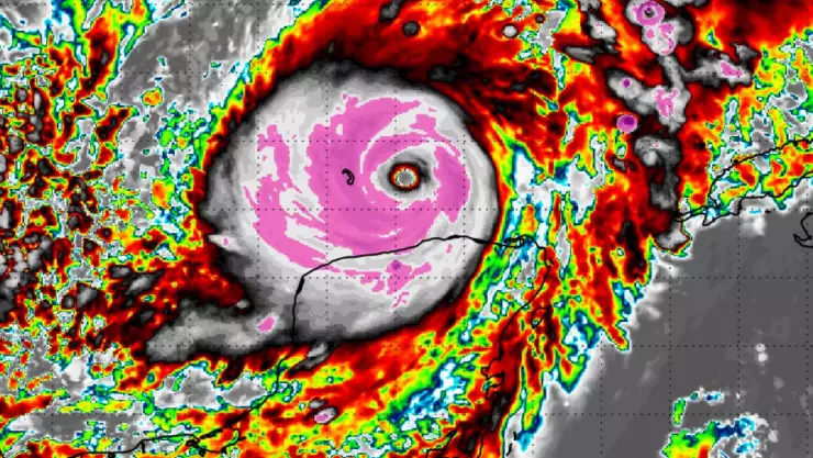
Huracán Beryl

Este sistema se formó entre el 28 de junio y el 11 de julio de 2024, logrando además ser el segundo huracán más intenso de la temporada de ciclones tropicales en el Atlántico 2024. Beryl llegó a ser un poderoso categoría 5.
En su paso, Beryl dejó años catastróficos a su paso al sur de las Islas Barlovento, así como cerca de las Islas Caimán y Jamaica. Mientras que en la Península de Yucatán, impactó directo a Tulum, Quintana Roo con categoría 2, debilitándose por una cizalladura vertical en el mar Caribe Occidental.
Huracán Helene

Este sistema llegó a ser de categoría 4 en menos de 24 horas y, aunque no impactó directamente a Yucatán, si dejó afectaciones severas en el estado vecino de Quintana Roo.
Este sistema se desarrolló entre el 24 y 27 de septiembre, apuntando en su ruta al oeste de Florida, donde dejó afectaciones catastróficas.
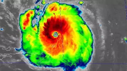
Huracán Milton

Milton fue sin duda el Huracán protagonista de la Temporada de Huracanes 2024, siendo el más intenso con categoría 5 y el cual logró tener una intensificación en menos de 24 horas.
Este poderoso sistema dejó severas afectaciones en la costa de Yucatán, aún sin tocar tierra, en zonas de Celestún, Sisal y Progreso, donde el mar provocó la rápida evacuación de familias.
Milton, además impactó en la costa oeste de Florida a menos de 15 días de haber impactado en el mismo estado el huracán Helene.
Otros ciclones que dejaron afectaciones son, Nadine, Óscar y Sara, los cuales provocaron lluvias intensas y rachas de viento en la costa.
¿Cuál fue el Huracán o Ciclón que más afectaciones dejó en tu zona? Escríbenos en nuestras redes sociales oficiales y haznos saber tu opinión.
¿Quieres mantenerte informado o enviarnos tu reporte ciudadano? Síguenos en Facebook , X , Instagram y TikTok
También puedes disfrutar de la programación en vivo de Azteca UNO y Azteca 7
