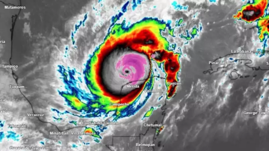
A las 21:00 horas de este lunes 7 de octubre, el Huracán Milton categoría 5, se localizó a 70 km al norte de Sisal y 60 km al nor-noroeste de Progreso, Yucatán, donde se espera sigan las fuertes lluvias.
Este sistema se mueve hacia el este a 15 km/h con vientos de 270 km/h y rachas de 325 km/h.
Se espera que su trayectoria sea paralela a la costa, por lo que en las siguientes horas, se confirmó su paso por Progreso (sobre el mar), y en el transcurso de mediodía de mañana, pasaría a 89 km al norte de Río Lagartos.
¿A qué hora se alejará de la Península de Yucatán el Huracán Milton?
Con su lento desplazamiento, el Huracán Milton aún con categoría 4 se estaría alejando de territorio yucateco este martes a las 6 de la tarde.
¿Qué hacer ante la cercanía de un Huracán?

De acuerdo a información brindada por autoridades de Protección Civil, antes de un Huracán debes:
- Revisar el estado de puertas, ventanas y techos.
- Tener a la mano radio, lámpara, baterías de reserva y botiquín de primeros auxilios.
- Almacenar una provisión de alimentos básicos no perecederos y agua para al menos 4 días.
De igual manera las autoridades ponen a disposición el número de emergencias 911 para comunicarse en caso de algún percance.
¿Quieres mantenerte informado o enviarnos tu reporte ciudadano? Síguenos en Facebook , X , Instagram y TikTok
Así benefician las lluvias a las áreas verdes de Yucatán
También puedes disfrutar de la programación en vivo de Azteca UNO y Azteca 7









