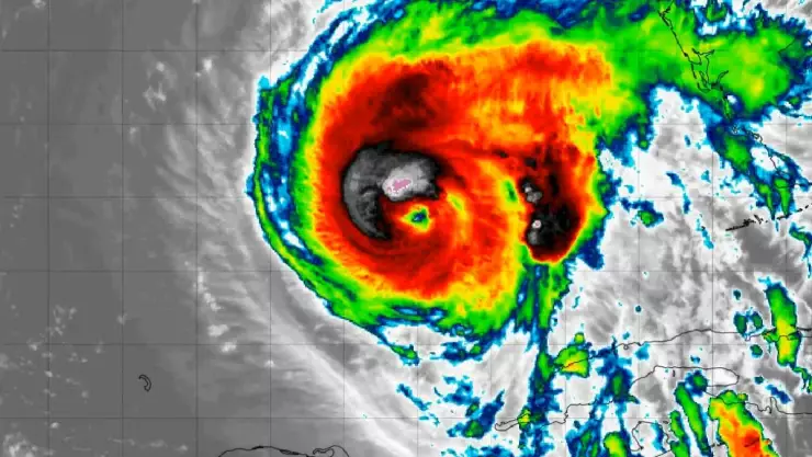
La tarde de este jueves 07 de noviembre de 2024 el avión cazahuracanes detectó una intensificación del Huracán Rafael mientras se desplaza hacia el oeste, ocasionando que su amplia circulación deje lluvias en gran parte de Yucatán.
Te puede interesar: Repuntan casos de mano, pie, boca en niños de Yucatán; estos son los síntomas
Este ciclón tropical con vientos máximos sostenidos de 165 km/h podría reorganizarse y tocar tierra en algún punto de Veracruz, sin embargo como una Tormenta Tropical.
🚨🌀Huracán #Rafael se fortalece
— 🍁🌧️Meteorología México🥶❄️ (@InfoMeteoro) November 7, 2024
Con desplazamiento al oeste, Rafael tiene viento de 165 km/h y ráfagas de 200 km/h, siendo un poco más fuerte que esta mañana.
⚠️Seguirá avanzando sobre el centro del Golfo, pero podría curvar al suroeste.
✅Aún es incierto si va a Tamaulipas,… pic.twitter.com/clt75Ps0Gi
De momento se mantiene la Alerta Azul para 69 municipios de Yucatán por la peligrosidad de este sistema.
Huracán Rafael: ¿Cuáles son los 13 municipios de Yucatán que serán afectados tras su cambio de trayectoria?
A continuación te presentamos la lista de los 13 municipios que están en la mira tras el leve cambio en la ruta del Huracán Rafael:
- Celestún
- Hunucmá
- Progreso
- Chicxulub
- Ixil
- Telchac Puerto
- Sinanché
- Yobaín
- Dzidzantun
- Dzilam de Bravo
- San Felipe
- Río Lagartos
- Tizimín
Únete gratis a nuestro canal de difusión en WhatsApp con las mejores novedades
¿Qué hacer ante la cercanía de un Huracán?

De acuerdo a información brindada por autoridades de Protección Civil, antes de un Huracán debes:
- Revisar el estado de puertas, ventanas y techos.
- Tener a la mano radio, lámpara, baterías de reserva y botiquín de primeros auxilios.
- Almacenar una provisión de alimentos básicos no perecederos y agua para al menos 4 días.
De igual manera las autoridades ponen a disposición el número de emergencias 911 para comunicarse en caso de algún percance.
Únete gratis a nuestro canal de difusión en WhatsApp con las mejores novedades
¿Cuándo termina la temporada de huracanes 2024?
La temporada de huracanes 2024 concluirá el 30 de noviembre de 2024, por lo que no se descarta que haya fenómenos que se presenten días después debido a que hay condiciones climáticas que pueden favorecerlos.
¿Quieres mantenerte informado o enviarnos tu reporte ciudadano? Síguenos en Facebook , X , Instagram y TikTok
También puedes disfrutar de la programación en vivo de Azteca UNO y Azteca 7
