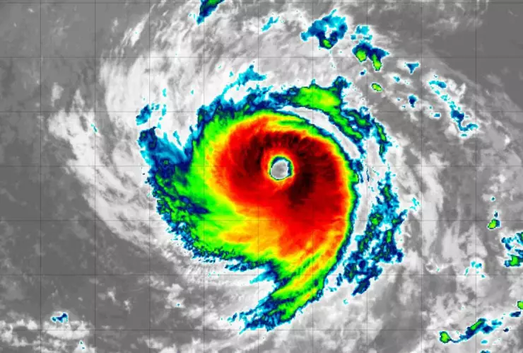
La mañana de este jueves 22 de agosto el huracán "Gilma" alcanzó la peligrosa categoría 3, esto de acuerdo al aviso del Centro Nacional de Huracanes de Miami.
Te puede interesar: Conagua CONFIRMA la fecha de llegada del primer frente frío de 2024 en México
Este sistema está lejos de México, informó esta mañana el Servicio Meteorológico Nacional (SMN), fuente climática oficial del Gobierno de México, no obstante se mantiene su puntual vigilancia.
Por ello en TV Azteca Yucatán te compartimos todo sobre el avance del Huracán Gilma, su ruta, así como la trayectoria de este sistema en el Pacífico Mexicano.
Huracán Gilma: ¿Cuál es su ruta y qué estados amenaza siendo categoría 3?
El Servicio Meteorológico Nacional (SMN) señaló que "Gilma" se ha intensificado a un poderoso huracán categoría 3 en la escala Saffir-Simpson mientras continúa su desplazamiento hacia el oeste-noroeste, muy lejos de las costas mexicanas.
#Gilma se ha intensificado a #Huracán categoría tres en la escala Saffir-Simpson. No representa peligro para #México. Más información en el gráfico. pic.twitter.com/EZVjRfgEUi
— CONAGUA Clima (@conagua_clima) August 22, 2024
El huracán se localiza a 1,650 km al oeste-suroeste de Cabo San Lucas, Baja California Sur. Su desplazamiento actual es hacia el oeste-noroeste (290°) a 9 km/h. Sus vientos máximos sostenidos son de 185 km/h y rachas de 225 km/h.
De acuerdo a los pronósticos, se espera que mañana viernes, "Gilma" baje a categoría 2, cuando se encuentre a 1,835 km al suroeste de Punta Eugenia, Baja California Sur. Y eventualmente, se degrade a tormenta tropical la próxima semana.
¿Qué hacer antes, durante y después de un huracán?

De acuerdo a información de Protección Civil Yucatán, antes de un Huracán debes:
- Revisa el estado de puertas, ventanas y techos.
- Ten a la mano un radio, lámpara, baterías de reserva y botiquín de primeros auxilios.
- Almacena una provisión de alimentos básicos no perecederos y agua para al menos 4 días.
- De igual manera las autoridades ponen a disposición el número de emergencias 911 para comunicarse en caso de algún percance.
¿Cuándo acaba la temporada de huracanes 2024?
La temporada de huracanes 2024 concluirá el 30 de noviembre de 2024, por lo que no se descarta que haya fenómenos que se presenten días después debido a que hay condiciones climáticas que pueden favorecerlos.
¿Quieres mantenerte informado o enviarnos tu reporte ciudadano? Síguenos en Facebook , X , Instagram y TikTok
También puedes disfrutar de la programación en vivo de Azteca UNO y Azteca 7
