El Centro Nacional de Huracanes informó que el poderoso Huracán Kristy intensificó sus vientos y ahora es de categoría 4 en aguas del Pacífico Mexicano.
Te puede interesar: Sigue EN VIVO la trayectoria del Huracán Kristy ¿Qué estados afectará?
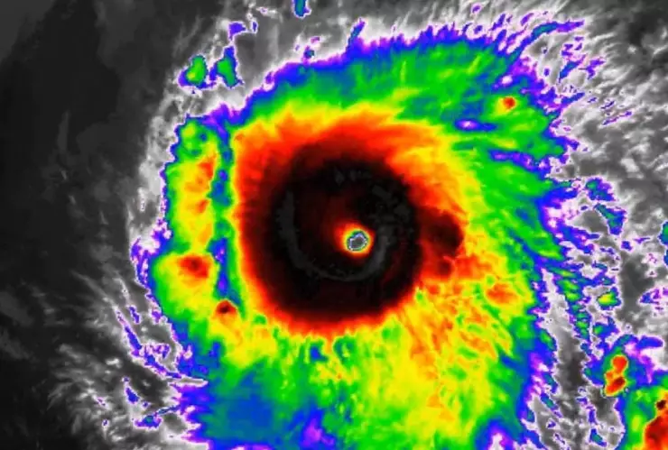
Este sistema es ahora el Huracán más intenso de esta temporada en el Pacífico Nororiental hasta el momento, posee vientos máximos sostenidos de 250 km/h y una presión mínima central de 932 mb, superando a Gilma en agosto pasado (pico de intensidad de 215 km/h).
Se localiza a 1,140 km de Cabo San Lucas, Baja California Sur alejándose cada vez más de territorio nacional sin generar efectos en nuestro país
En ese sentido, de acuerdo a su distancia no representa peligro directo para los estados del Pacífico Mexicano.
¿Qué hacer ante la cercanía de un Huracán?

De acuerdo a información brindada por autoridades de Protección Civil, antes de un Huracán debes:
- Revisar el estado de puertas, ventanas y techos.
- Tener a la mano radio, lámpara, baterías de reserva y botiquín de primeros auxilios.
- Almacenar una provisión de alimentos básicos no perecederos y agua para al menos 4 días.
De igual manera las autoridades ponen a disposición el número de emergencias 911 para comunicarse en caso de algún percance.
Únete gratis a nuestro canal de difusión en WhatsApp con las mejores novedades
¿Cuándo termina la temporada de huracanes 2024?

La temporada de huracanes 2024 concluirá el 30 de noviembre de 2024, por lo que no se descarta que haya fenómenos que se presenten días después debido a que hay condiciones climáticas que pueden favorecerlos.
¿Quieres mantenerte informado o enviarnos tu reporte ciudadano? Síguenos en Facebook , X , Instagram y TikTok
También puedes disfrutar de la programación en vivo de Azteca UNO y Azteca 7
