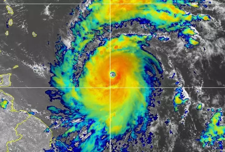
De acuerdo con la última actualización del National Hurricane Center, el huracán Beryl ya es categoría 4; esto sabemos del fenómeno.
Te puede interesar: ÚLTIMA HORA: Evoluciona a CATEGORÍA 3 el huracán Beryl sobre el Atlántico
Hace unos momentos se confirmó que el huracán Beryl ya es categoría 4 y es que hace solo unas horas se señaló que había evolucionado a categoría 3, por lo que deja claro su peligrosidad, lo que ha desatado preocupación entre los expertos.
Así mismo se indicó cuál será su posible trayectoria, pues se ha señalado que posiblemente llegue al territorio mexicano, apuntando a la Península de Yucatán.
Huracán Beryl ya es categoría 4
Los aviones caza huracanes indican que tiene vientos amenazantes y tormentas potentes que impactarán a las Islas de Biindward, dejándose sentir las primeras horas del lunes 1 de julio de 2024.
Posee vientos máximos sostenidos de 215 kilómetros por hora al ser un huracán de categoría 4. Se prevé que siga ganando fuerza durante su recorrido por el Atlántico.
¿Qué tan peligroso es el huracán Beryl?
De acuerdo con el Centro Nacional de Huracanes de Estados Unidos, el huracán Beryl es potencialmente peligroso, con vientos máximos sostenidos de 130 mph. Así mismo se indica que podría continuar evolucionando, siendo un fenómeno potencialmente peligroso.
¿Por qué dijo el Centro Nacional de Huracanes que el Huracán Beryl es extremadamente peligroso?
Alrededor de las 11 de la mañana de este domingo 30 de junio de 2024 el Centro Nacional de Huracanes de Estados Unidos indicó que el huracán Beryl es extremadamente peligroso pues posee vientos de hasta 130 mph.
A través de sus redes sociales, los expertos señalaron que ya es categoría 4, la cual alcanzó en pocas horas.
“Actualización: 11:35 a. m. AST del domingo: el hallazgo de aviones de reconocimiento #Beryl se ha fortalecido hasta convertirse en un huracán de categoría 4 extremadamente peligroso con vientos máximos de 130 mph. Se esperan vientos potencialmente mortales y marejadas ciclónicas en las Islas de Barlovento a partir del lunes por la mañana temprano”.
¿Qué tan cerca está el Huracán Beryl de México?
El #Huracán #Beryl se intensificó hace unos minutos a categoría 4 en la escala #SaffirSimpson. Todos los detalles en el gráfico pic.twitter.com/u5LsRAoU1b
— CONAGUA Clima (@conagua_clima) June 30, 2024
El huracán se localiza a 3 mil 590 kilómetros de la Península de Yucatán, avanzando de forma rápida y con potentes vientos aunque de momento no representa peligro para el territorio mexicano.
Consejos para proteger tu casa del Huracán Beryl
Los expertos han emitido una serie de recomendaciones para evitar afectaciones si el huracán Beryl se acerca al territorio mexicano.
- Corta el excedente de árboles cerca de casa
- Refuerza puertas y ventanas
- Asegura objetos que estén a la intemperie
- Resguarda a tus mascotas
¿Quieres mantenerte informado o enviarnos tu reporte ciudadano? Síguenos en Facebook , X , Instagram , TikTok y WhatsApp .
También puedes disfrutar de la programación en vivo de Azteca UNO y Azteca 7
