Hace unos momentos se reportó el derrumbe de un antiguo muro de casona ante fuertes vientos en la calle 94 x 83 de Progreso, esto luego del paso del Huracán Milton.
No se reportaron personas lesionadas, sin embargo autoridades mantienen un operativo en la zona para evitar contratiempos.
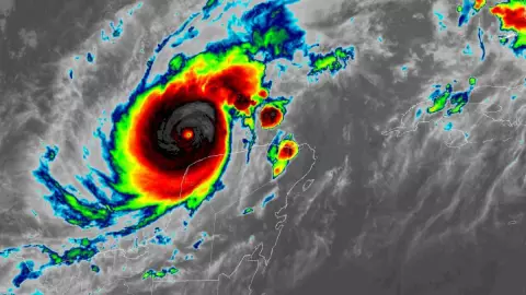
Ubicación exacta del Huracán Milton

A las 00:01 horas del día martes 08 de octubre, el Huracán Milton se degradó a categoría 4, se localiza a 83 km al norte de Telchac Puerto y 105 km al nor-noreste de Progreso, Yucatán, su traslación es hacia el este a 15 km/h con vientos de 250 km/h y rachas superiores.
Se espera que en el transcurso del mediodía se localice a unos 89 km al norte de Rio Lagartos, mientras se aleja paulatinamente de las costas yucatecas.
¿A qué hora se alejará de la Península de Yucatán el Huracán Milton?
Con su lento desplazamiento, el Huracán Milton aún con categoría 5 se estaría alejando de territorio yucateco este martes a las 6 de la tarde.
¿Qué hacer ante la cercanía de un Huracán?

De acuerdo a información brindada por autoridades de Protección Civil, antes de un Huracán debes:
- Revisar el estado de puertas, ventanas y techos.
- Tener a la mano radio, lámpara, baterías de reserva y botiquín de primeros auxilios.
- Almacenar una provisión de alimentos básicos no perecederos y agua para al menos 4 días.
De igual manera las autoridades ponen a disposición el número de emergencias 911 para comunicarse en caso de algún percance.
¿Quieres mantenerte informado o enviarnos tu reporte ciudadano? Síguenos en Facebook , X , Instagram y TikTok
También puedes disfrutar de la programación en vivo de Azteca UNO y Azteca 7
